据人民网援引澳大利亚七号台新闻报道,日前,英国航空工程师理查德·戈弗雷在一份报告中称,在澳大利亚珀斯以西1993公里的印度洋发现了马航MH370客机,目前飞机位于海平面4000米以下。
2014年3月8日,马航MH370从马来西亚吉隆坡机场起飞,但当天早上6点30分,飞机并未按照计划在北京机场降落。从公布的信息得知,飞机曾在起飞1个小时后,就突然失联,让人更加疑惑的是,MH370始终都没有发出过求救信号,且不论是飞机状况,还是当天的天气情况,都是正常的。

搜图
编辑
据报道,马航MH370当时搭载的乘客有227位,其中有154位中国人,因此在失联后,我国第一时间就紧急展开搜救行动,随后的一年多中,全球11个国家也都纷纷参与搜救,然而时至今日,马航MH370已经失联长达7年之久,飞机残骸究竟在哪?飞机上当时到底发生了怎样的情况?至今都没有找到确切答案。

搜图
编辑
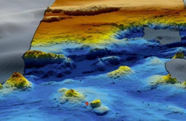
不过尽管如此,飞机失联的真相还是一直牵动着中国人的心,世界上不少科学家也并没有忘记马航MH370,近日,有关马航MH370又传来了最新消息。根据戈弗雷的报告,飞机失联当天最后一次与卫星连接后约一分钟内,就在印度洋上空坠毁。报告认为,飞机坠毁的地点是一个充满峡谷和水下火山的海洋高原,而该地点,恰好避开了澳大利亚和美国的搜索区域。
对于这一结论,戈弗雷表示,他“十分有信心”,并称自己通过来自卫星的大量数据、波音公司的性能数据、海洋学、漂移分析以及一项新型“革命性跟踪技术”,分析得出飞机坠毁的地点就在印度洋这个特定的位置。

搜图
编辑
对于理查德·戈弗雷这份报告,《西澳大利亚报》也认为这是一个“巨大的突破”,因为这一推测,与此前西澳大利亚大学海洋学教授查理塔·帕提亚拉基的推测范围基本一致。报道认为,国际救援必须对这一特定地点再次进行深入调查,针对马航MH370的新一轮搜索,将可能会再次启动。此前在2018年,MH370事故调查团队公布了一份495页的报告,表示飞机失联可能是被人为操纵,最终导致偏离航行坠毁,并推出飞机上的人员已经全部遇难,随后,马来西亚解散了事故调查团队,宣布结束搜救工作。
